Halifax Considering Proposal To Build 100-Unit Housing Complex In Sackville
SACKVILLE—A pair of apartment buildings could soon provide 100 new housing units in Sackville.
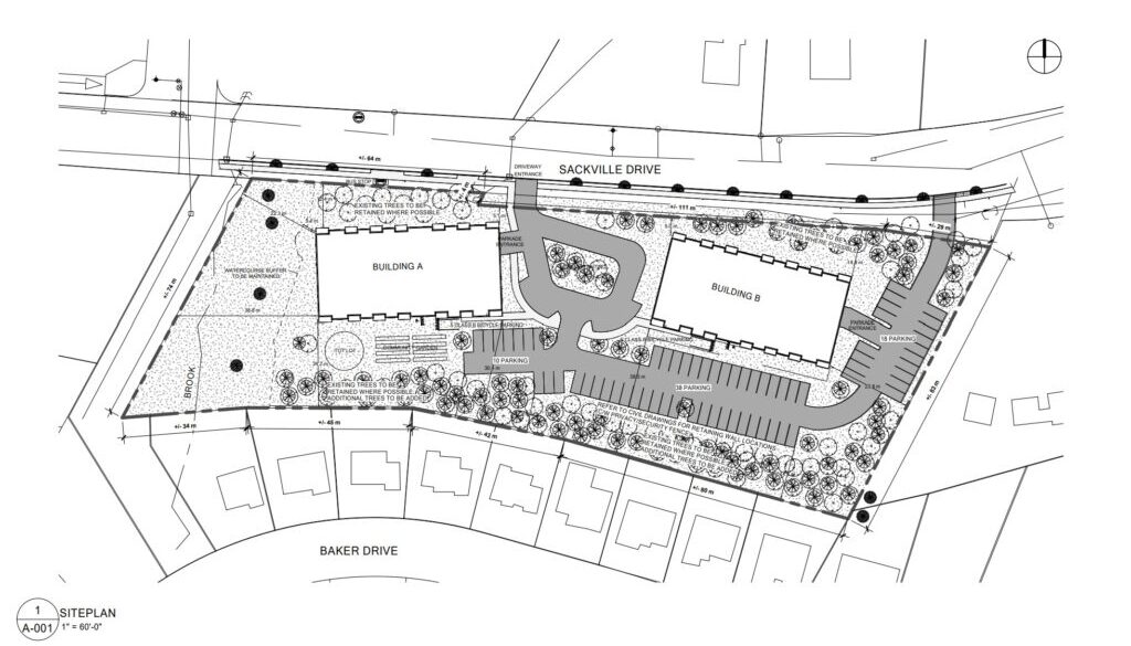
Marchand Developments Ltd. is proposing the new buildings, which the company hopes to construct on a vacant lot next to the fire station on Sackville Drive, near the intersection with Millwood Drive.
In an application to the city, the company says it wants to build two four-storey residential buildings, each with 50 units.
Between them, the buildings will contain 44 two-bedroom and 56 one-bedroom units, each with a private balcony or terrace.
The development, which will sit on a 3.4-acre lot, will also feature 141 parking spaces (74 indoor and 66 outdoor) and 50 spaces to park bikes.
Since it would be built in a relatively low-density residential neighbourhood, the developers must plant trees and build fencing on part of the property to provide a visual buffer for neighbours.
In its application, Marchand Developments argues the lot is “a prime location” that “affords an excellent opportunity to develop additional housing for the community of Middle Sackville.”
“This modest residential development has been sized, designed and sited on the property to complement existing development along Sackville Drive, and to ensure that existing residential development and other uses in the area are not significantly impacted,” the company says.
On January 17, North West Community Council took its first look at the proposed buildings and agreed to move the project along the development process.
The next step will be a public hearing that will allow residents to weigh in on the project.
At a previous public engagement session, some community members have raised concerns about the project, arguing the buildings will cause too much congestion on the nearby roads.
Marchand has commissioned a traffic impact study that found the project won’t have a “significant impact” on local streets.
However, the data used in the study comes from 2017 and community members have argued it doesn’t properly represent traffic volumes today.
More recent attempts to collect data on local traffic, however, have been hampered by Covid-19’s effect on driving habits.
Trevor Nichols is the associate editor of Huddle, based in Halifax. Send him your feedback and story ideas: [email protected].
